Komplek działek pod aktywność gospodarczą

540 000,00

Mauryców, łódzkie

Skontaktuj się

Opis nieruchomości

Na sprzedaż kompleks działek, położonych w miejscowości Mauryców nr 70.

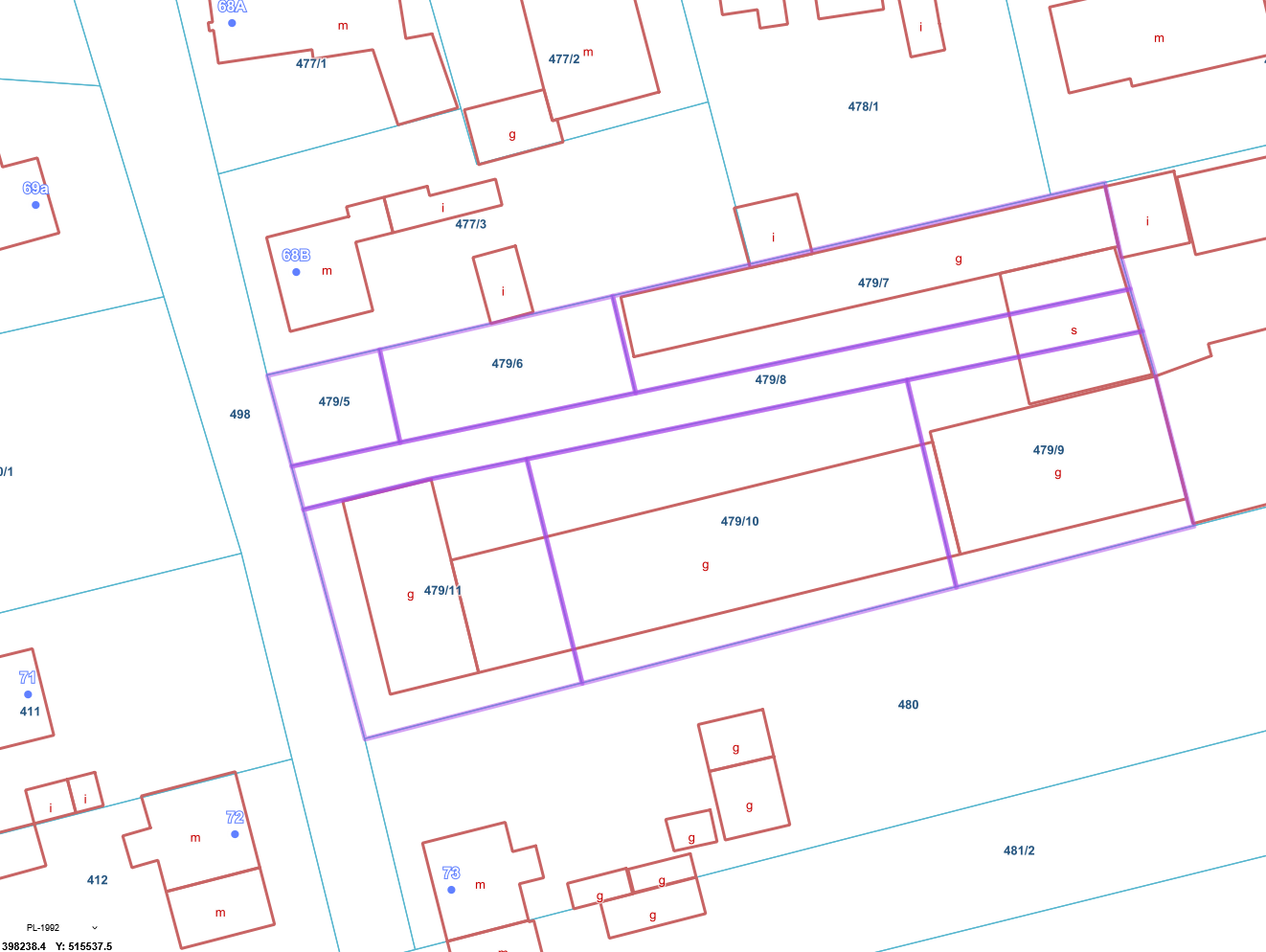
Działki gruntu nr 479/5, 479/6, 479/7, 479/8, 479/9, 479/10 i 479/11, obręb 32 Sromutka, gmina Zelów mają łączną powierzchnię 0,3260 ha Działki z dostępem do drogi gminnej, asfaltowej oraz w pełni uzbrojone (prąd, woda, kanalizacja). W MPZP oznaczone symbolem 8P- tereny przeznaczone pod aktywność gospodarczą.

Działki zabudowane budynkiem piekarni, magazynem mąki i wyrobów gotowych, magazynem, budynkiem produkcyjno – magazynowym i budynkiem biurowym o łącznej powierzchni użytkowej 1.544.90 m2.

Budynki do remontu.

Objekt daje duże możliwości przebudowy i adaptacji na działalność gospodarczą.

 

Zapraszam do oglądania.

Szczegóły ogłoszenia

Nr oferty

S/64/8/PPKO

Cena

540 000,00 zł

Powierzchnia

3260 m2

Powierzchnia działki

3260 m2

Numer działki

479/5, 479/6, 479/7, 479/8, 479/9, 479/10 i 479/11

Lokalizacja

Mauryców, bełchatowski, łódzkie

Stan

do remontu

Media

prąd, woda, kanalizacja

Przeznaczenie gruntu

inwestycyjny

Dane dodatkowe

ogrodzenie, regularny kształt, MPZP

Media

prąd, woda, kanalizacja

Dojazd

asfaltowy

Konstrukcja

murowana

Forma prawna

własność

Przeznaczenie

przemysłowy, magazynowy, warsztatowy

Dojazd

asfaltowy

Dodatkowe

ogrodzenie, ogrzewanie

Zadzwoń do sprzedawcy

Ewa Kisiel

661 740 050

    Kontakt ze sprzedawcą

    Podobne oferty

    Działki

    Działki rolne z potencjałem pod zabudowę jednorodzinną

    Ludwikowo, płoński, mazowieckie
    21 168,00 m2 | działka: 21 168,00 m2
    297 866,00
    Działki Nieruchomości przemysłowe

    Hala tenisowa, budynek hotelowy

    Marki, wołomiński, mazowieckie
    4 363,78 m2 | działka: 9 164,00 m2
     
    do odświeżenia | prąd, woda, gaz, kanalizacja
    4 200 000,00
    Działki

    Działka z rozpoczętą budową bloku

    Wyszyńskiego, Ozorków, zgierski, łódzkie
    674,00 m2 | działka: 674,00 m2
    690 000,00
    Nieruchomości przemysłowe

    Budynki przemysłowo-handlowe Maków Mazowiecki

    Przasnyska, Maków Mazowiecki, mazowieckie
    4 343,50 m2 | działka: 11 555,00 m2
    licytacja: 18.06.2026
    1 887 333,33
    Domy Działki

    Działki pod zabudowę i dom jednorodzinny

    Mykanowska, Wola Kiedrzyńska, częstochowski, śląskie
    9 351,00 m2 | działka: 9 351,00 m2
    6 pokoi
     
    do odświeżenia | energia elektryczna, szambo, woda
    640 350,00
    Działki

    Działka budowlana 2600m², piękne widoki!

    Zbrzeż, nowosądecki, małopolskie
    2 600,00 m2 | działka: 2 600,00 m2
    133 200,00
    Działki

    Udział 1/2: Działka w Łaziskach 44-340

    Łaziska, śląskie
    2 500,00 m2 | działka: 2 500,00 m2
    licytacja: 18.06.2026
    5 287,50
    Działki

    Działka pod zabudowę jednorodzinną, uzbrojona

    Jana Kilińskiego, Jarosław, jarosławski, podkarpackie
    306,00 m2 | działka: 306,00 m2
    licytacja: 11.05.2026
    127 245,00
    Działki

    Na sprzedaż 4 działki rolne o łącznej powierzchni 47902 m2 LICYTACJA

    Rzeniszów, Myszkowski, śląskie
    47 902,00 m2 | działka: 47 902,00 m2
    licytacja: 25.06.2026
    2 033 812,50